


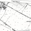
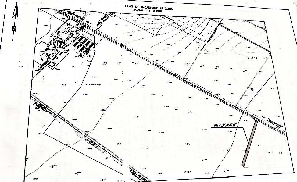
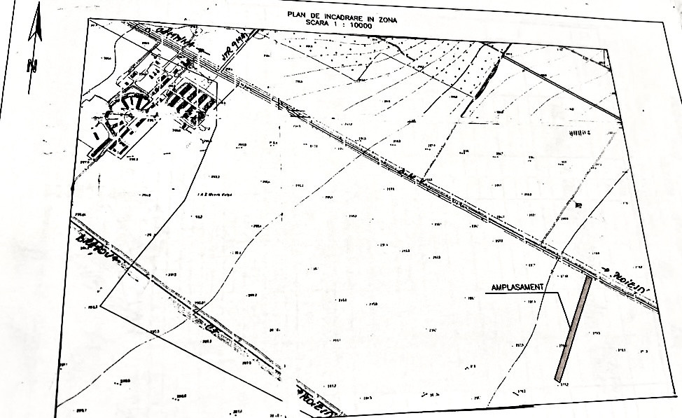
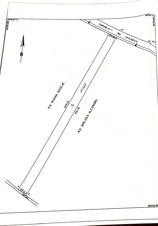
Harmoney Real Estate vă propune spre vânzare, în reprezentare exclusivă și comision 0% pentru cumpărător, un teren cu potențial deosebit situat în orașul Băicoi, județul Prahova, cu deschidere directă la DN1 (E60), pe sensul Ploiești – Câmpina.
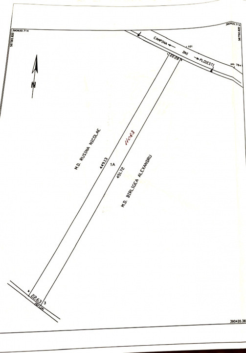
Proprietatea are o suprafață totală de 10.000 mp, din care 9.907 mp intravilan și 93 mp extravilan, categoria de folosință fiind arabil.
Terenul beneficiază de o deschidere generoasă de 22,28 mp la drumul național, oferind vizibilitate excelentă și acces facil din ambele sensuri.
Prin poziționarea strategică, terenul se pretează pentru dezvoltare rezidențială, industrială, logistică sau comercială, reprezentând o oportunitate rară de investiție într-o zonă aflată în plină dezvoltare. Pretul este usor negociabil.
📍 Locație: Băicoi, jud. Prahova – DN1, sens Ploiești – Câmpina
📏 Suprafață totală: 10.000 mp
🏷️ Comision cumpărător: 0%